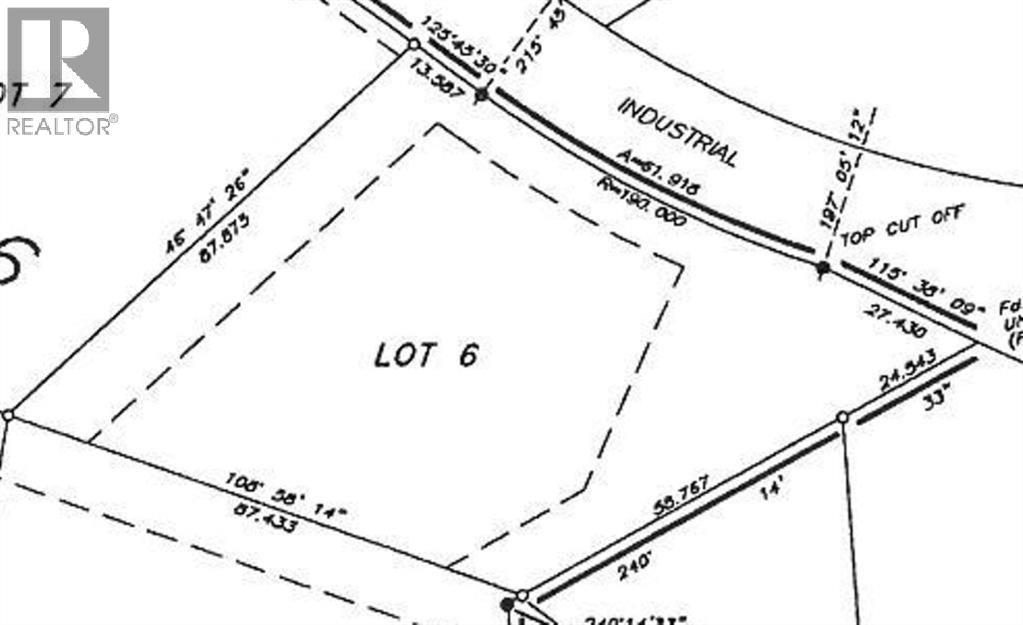
Lot 6 300 Industrial Road, Drumheller, Alberta T0J 0Y0

Browse our exclusive listings.

$70,140

The Rosedale Industrial Park Subdivision has already seen development. Excellent location approximately 10 km from the intersection of Highway 9 & 10 and approximately 6 km from Drumheller city center. If you combine this lot with others that total over 2 acres, you may be eligible for a 10% discount. Services to the property line: Water, electricity, and natural gas. Direct connection to sanitary sewer from the property line is available. Ask your agent about tax incentives. ***Residential uses not allowed on this land*** FOR SALE - LOT 6 = 1.67 Acres LEGAL DESCRIPTION: Lot 6 Block 16 Plan 0614150. Roll: 19060604 | 2024 taxes: $$1,396.00 | Lot size: 1.670 Acres | Land Use / Zoning: ED | Title number: 061 478 257 +4 LINC Number: 0032 045 891 | non financial encumbrances: 811 117 857 23/06/1981 UTILITY RIGHT OF WAY GRANTEE - ICG UTILITIES (PLAINS-WESTERN) LTD. 941 151 458 09/06/1994 CAVEAT RE : RIGHT OF WAY AGREEMENT 061 478 259 17/11/2006 EASEMENT. Buyer must fill out a development permit application sheet as part of the offer outlining what they will build, who their contractor is, and outline the timeline that starts substantial construction within 8 months and completes construction with 24 months. Offers must be left open for 3 weeks from the date submitted. (id:55577)

Property Features

  • MLS® Number A2101519
  • Price $70,140
  • Community Name: Downtown
  • Features See Remarks
  • Plan 0614150

Buildings

Age Age Is Unknown Utility Water See Remarks

Land

Acreage Yes Fence Type Not Fenced
Size Irregular 1.67 Size Total 1.67 Ac|1 - 1.99 Acres
Size Total Text 1.67 Ac|1 - 1.99 Acres Zoning Description Ed

Agents and Offices

  • Bob Sheddy
  • Office: Century 21 Masters

Do you have questions?

Call or text today, we are here to help!

+1 403-483-3300